LLMpediaThe first transparent, open encyclopedia generated by LLMs

Shatsky Rise

Generated by GPT-5-mini
Note: This article was automatically generated by a large language model (LLM) from purely parametric knowledge (no retrieval). It may contain inaccuracies or hallucinations. This encyclopedia is part of a research project currently under review.
Article Genealogy
Parent: Hess Rise Hop 4
Expansion Funnel Raw 44 → Dedup 0 → NER 0 → Enqueued 0
1. Extracted44
2. After dedup0 (None)
3. After NER0 ()
4. Enqueued0 ()
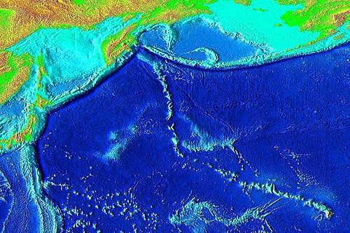
Shatsky Rise
Shatsky Rise
cropped by User:Seattle Skier · Public domain · source
NameShatsky Rise
Locationnorthwestern Pacific Ocean
TypeLarge igneous province; oceanic plateau; seamount complex
Area~480,000 km2
Highest elevation~3,000–4,000 m above seafloor
AgeLate Jurassic–Early Cretaceous

Shatsky Rise is a vast oceanic plateau and large igneous province in the northwestern Pacific Ocean formed by massive Cretaceous volcanism. It lies near abyssal plains and is bounded by major plate boundaries and fracture zones, representing one of the largest oceanic volcanic features on Earth. The rise has been central to debates involving mantle plumes, plate tectonics, and oceanic plateau formation, and it preserves a record of Early Cretaceous oceanography and biotic responses.

Geology and Formation

The rise comprises thickened crust produced by voluminous magmatism associated with a large igneous province and is comparable in scale to Ontong Java Plateau, Kerguelen Plateau, and Caroline Plateau. Its formation involved emplacement of flood basalts and seamount construction that produced anomalous crustal thickness and gravity signatures overlying the Pacific Plate. The area is characterized by basaltic lava flows, intrusive complexes, and overlying pelagic sediments deposited during the Cretaceous, influenced by contemporaneous events such as the Cenomanian–Turonian boundary and other oceanic anoxic events. Seismic reflection and refraction surveys reveal a complex of volcanic edifices and thick igneous layers, similar to structures studied at Iceland and Hawaii.

Tectonic Setting and Hotspot Hypotheses

Shatsky Rise formed near interactions of paleo-plate boundaries, with emplacement timing coincident with reorganizations of the Farallon Plate, Izanagi Plate, and Pacific Plate. Proposed mechanisms include a mantle plume head, ridge–plume interaction, and plate-edge volcanism comparable to processes invoked for Deccan Traps and Siletzia magmatism. Geodynamic models evaluate plume models akin to Tristan da Cunha and Samoa while alternative models consider passive upwelling at triple junctions like those recorded in the Afghan Triple Junction analogues. Paleomagnetic reconstructions employ data sets used in studies of Vine–Matthews–Morley hypothesis and plate motion frameworks developed by researchers of Paleomap Project.

Age, Stratigraphy, and Petrology

Radiometric dating using techniques comparable to those applied to Ar–Ar dating and U–Pb dating on oceanic basalts yields Late Jurassic to Early Cretaceous ages clustering around the Oxfordian–Barremian interval, with notable pulses matching ages used in chronologies of Chron C magnetic timescales. Stratigraphic sequences include subaerial and shallow submarine basaltic flows overlain by pelagic limestones and radiolarian cherts akin to sequences seen at Deep Sea Drilling Project and Ocean Drilling Program sites. Petrologically, the basalts range from tholeiitic to transitional compositions with trace-element and isotopic signatures compared to mantle reservoirs sampled by Mid-Atlantic Ridge basalts, Ocean Island Basalts, and sources implicated in the Iceland plume debate. Geochemical proxies such as Sr–Nd–Pb isotopes inform comparisons with mantle domains identified in hotspot studies.

Volcanic Structure and Morphology

Morphologically, the rise comprises multiple major edifices and plateaus with summit highs and rifted flanks analogous to Auckland Islands type volcanic complexes and seamount chains. Bathymetric mapping reveals volcanic cones, lava flow fields, and rift-associated grabens similar to structures mapped around Emperor Seamounts and Hawaiian–Emperor seamount chain. Gravity and magnetic anomalies delineate crustal thickness variations that correspond to volcanic basement highs, while dredge and drilling recoveries document pillow lavas, sheet flows, and intrusive bodies akin to formations sampled at OJP and Kerguelen drill sites.

Paleoenvironment and Oceanographic Impact

Emplacement of the rise likely influenced ocean circulation, biogeochemical cycles, and sedimentation across the North Pacific, comparable to paleoceanographic effects attributed to the emplacement of Ontong Java Plateau and Kerguelen Plateau. Volcanic outgassing and hydrothermal activity may have affected atmospheric and marine chemistry with possible links to episodes recorded in stable isotope records at Deep Sea Drilling Project sites and markers used in studies of oceanic anoxic events. Fossil assemblages of radiolarians, calcareous nannofossils, and foraminifera recovered in surrounding sediments offer biostratigraphic constraints analogous to those used in biostratigraphy of Cretaceous sections elsewhere.

Discovery, Exploration, and Research History

The rise was identified through bathymetric and geophysical surveys conducted by oceanographic programs such as United States Navy surveys, Deep Sea Drilling Project, Ocean Drilling Program, and later Integrated Ocean Drilling Program expeditions. Key contributions came from geologists and institutions involved in marine geophysics and petrology, including comparative studies referencing data from University of Tokyo, Woods Hole Oceanographic Institution, and Lamont–Doherty Earth Observatory. Ongoing multidisciplinary research integrates seismic imaging, geochemistry, and drilling results in concert with plate reconstructions advanced by teams linked to the Paleomap Project and global mantle dynamics research groups.

Category:Large igneous provinces Category:Seamounts Category:Pacific Ocean geology