LLMpediaThe first transparent, open encyclopedia generated by LLMs

Axial Seamount

Generated by GPT-5-mini
Note: This article was automatically generated by a large language model (LLM) from purely parametric knowledge (no retrieval). It may contain inaccuracies or hallucinations. This encyclopedia is part of a research project currently under review.
Article Genealogy
Parent: Galápagos Rift Hop 4
Expansion Funnel Raw 71 → Dedup 0 → NER 0 → Enqueued 0
1. Extracted71
2. After dedup0 (None)
3. After NER0 ()
4. Enqueued0 ()
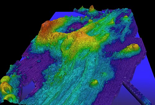
Axial Seamount
Axial Seamount
NOAA · Public domain · source
NameAxial Seamount
Elevation7000 m below sea level
LocationPacific Ocean; Juan de Fuca Ridge
TypeSeamount, submarine volcano, shield volcano
Last eruption2015

Axial Seamount is a submarine volcano located on the Juan de Fuca Ridge in the northeastern Pacific Ocean. It is the most active volcano in the Cascadia subduction zone region and the most well-monitored undersea volcano in the world, lying near the Coast of Oregon and the Coast of Washington. The seamount is a key site for studies by institutions such as the National Oceanic and Atmospheric Administration, the National Aeronautics and Space Administration, and the Woods Hole Oceanographic Institution.

Geography and Structure

Axial Seamount sits on the crest of the Juan de Fuca Ridge, adjacent to the Cobb–Eickelberg Seamount chain and near the Heceta Bank. The volcano forms a caldera approximately 3.7 by 3.2 kilometers across and rises about 700 meters above the surrounding abyssal plain, with summit depths near 1,400 meters below sea level. Its morphology includes a central caldera floor, radial rift zones, lava flows, and discrete lava cones similar to features observed at Hawaii (island), Iceland, and the Galápagos Islands. The seafloor around the volcano is punctuated by hydrothermal vents, chimneys, blistered pillow lavas, and fissure-fed sheet flows comparable to those along the Mid-Atlantic Ridge and the East Pacific Rise.

Geological Setting and Volcanism

The volcano is located on the divergent plate boundary between the Pacific Plate and the Juan de Fuca Plate, formed by seafloor spreading processes studied alongside areas such as the Gorda Ridge and the Explorer Ridge. Magma supply is influenced by mantle upwelling beneath the Cascadia Subduction Zone forearc and mantle heterogeneities similar to those implicated at hotspots like Hawaii and Yellowstone National Park. Volcanism at this site produces low-viscosity basaltic lava, sheet flows, and pillow lavas analogous to eruptions at Kīlauea and Mauna Loa. The structural system includes a shallow magma chamber beneath the caldera and a network of dikes and sills that connect to regional spreading centers, comparable to plumbing systems inferred at Santorini and Mt. Etna.

Eruptive History

Documented eruptions occurred in 1998, 2011, and 2015, making it one of the few submarine volcanoes with well-constrained eruption records, studied with time series like those used for Mount St. Helens and Eyjafjallajökull. The 1998 eruption was detected by hydroacoustic signals recorded by NOAA and by changes in seafloor morphology mapped by multibeam echosounder surveys conducted from research vessels such as RV Atlantis and RV Thompson. The 2011 eruption was preceded by prolonged inflation detected by pressure sensors and instruments similar to those employed for Krakatoa monitoring, while the 2015 event produced extensive lava flows and modified vent fields analogous to historic activity at Loihi Seamount. Eruptive products include aphyric to olivine-phyric basalts with compositions compared to those from the Mid-Ocean Ridge Basalt suite.

Hydrothermal Systems and Biology

Hydrothermal venting at the volcano supports rich chemosynthetic ecosystems with communities resembling those at Galápagos Rift, Juan de Fuca hydrothermal vents, and the East Pacific Rise vents. Vent fluids host mineral precipitates forming sulfide chimneys and deposits comparable to black smokers and white smokers documented by expeditions from the Monterey Bay Aquarium Research Institute and the Scripps Institution of Oceanography. Fauna include tubeworms, vent mussels, gastropods, and chemosynthetic bacteria similar to taxa described from the Tamu Massif and Lucky Strike hydrothermal field. Microbial mats and symbiotic relationships at these vents inform studies of extremophiles used in research at NASA Ames Research Center and in astrobiology programs concerned with Europa (moon) and Enceladus analogs.

Monitoring and Research

Axial Seamount is instrumented with seafloor observatories such as the NeMO network and the Oregon State University-led Cabled Array components of the Ocean Observatories Initiative. Instruments include pressure sensors, seismometers, tiltmeters, hydrophones, and chemical sensors, with data relayed to surface vessels and shore via fiber-optic cables installed by ships like RV Atlantis and R/V Polarstern. Research teams from Oregon State University, University of Washington, University of Hawaii, and NOAA collaborate on multidisciplinary programs combining geophysics, geochemistry, and biology, analogous to integrated efforts at IODP sites and Integrated Ocean Drilling Program expeditions. Continuous monitoring enabled successful eruption forecasts and real-time studies of seismicity and deformation comparable to land-based observatories at USGS volcano observatories.

Human Interaction and Importance

The seamount is a focal point for scientific exploration by institutions including NOAA Fisheries, National Science Foundation, and international partners such as GEOMAR and the British Antarctic Survey for understanding mid-ocean ridge processes, mineral resource potential, and deep-sea ecosystems. Findings influence policies and programs at organizations like the United Nations Educational, Scientific and Cultural Organization and inform discussions in forums such as the International Seabed Authority regarding deep-sea mining and conservation. The site's accessibility and monitored eruptions have made it a natural laboratory for training crews and students from universities such as Oregon State University and University of Washington and for public outreach through museums like the Seattle Aquarium and media coverage by outlets including National Geographic and BBC News.

Category:Submarine volcanoes Category:Juan de Fuca Ridge